股関節脱臼に対するトグルロッド #63






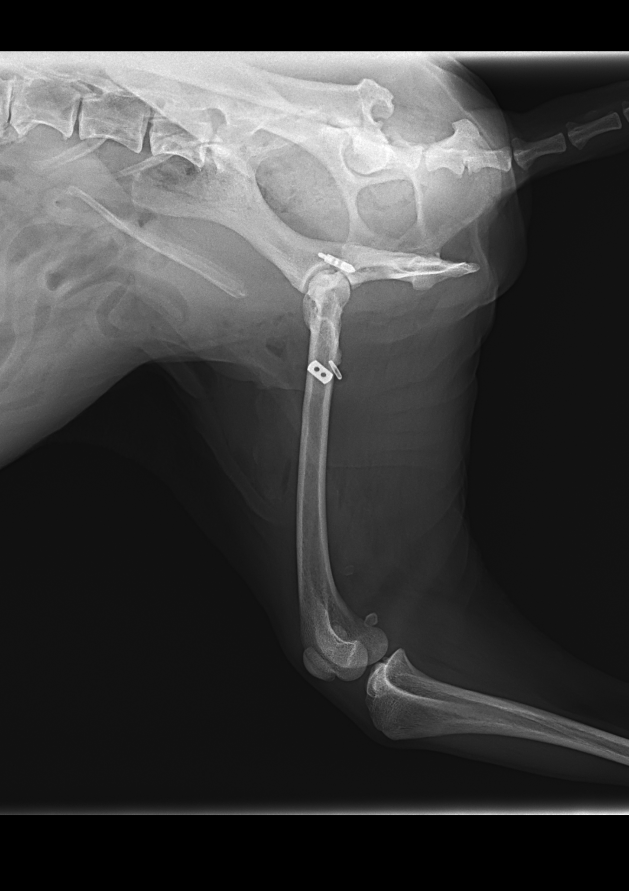
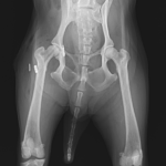
16歳のToy poodleさんが右の股関節を脱臼(背側前方)したとの事で主治医の先生から連絡がありました。1.9 Toggleとタイクロン(USP2)で整復術を実施しました。高齢ながら頑張ってくれました。2週間の安静期間が必要です。






16歳のToy poodleさんが右の股関節を脱臼(背側前方)したとの事で主治医の先生から連絡がありました。1.9 Toggleとタイクロン(USP2)で整復術を実施しました。高齢ながら頑張ってくれました。2週間の安静期間が必要です。