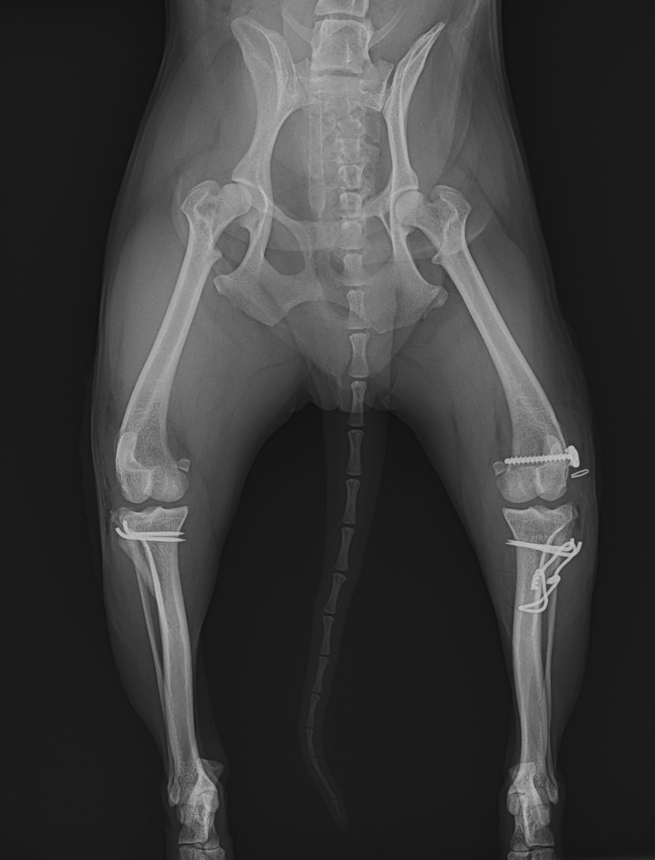
膝蓋骨内方脱臼G3に前十字靭帯断裂併発






5歳のToy Poodleさん。子犬の時から膝蓋骨内方脱臼(パテラ)があったそうですが、今まで特に症状もなく元気に暮らしていました。しかし、ここ1ヶ月で、跛行が目立つよになってきたとのことでかかりつけ医を受診しました。前十字靭帯断裂を併発してしまったようです。ドロアーサイン、ファットパッドサイン、脛骨圧迫試験が陽性でした。そのため、膝蓋骨内方脱臼を整復すると同時に、大腿骨遠位にアンカースクリューと脛骨近位にホールを開け人工靭帯法(ラテラルスーチャー)で安定化させました。
膝蓋骨内方脱臼を持ちながらも、ほとんど症状もなく、うまく歩いているワンコがいるのも事実です。しかし、ひとたび、前十字靭帯断裂を併発すると不安定性が増し、通常はうまく歩けなくなるので、いつでも相談できるかりつけの先生にパテラの状態を把握してもらっておきましょう。

