トータル・ヒップ・リプレイスメント #22










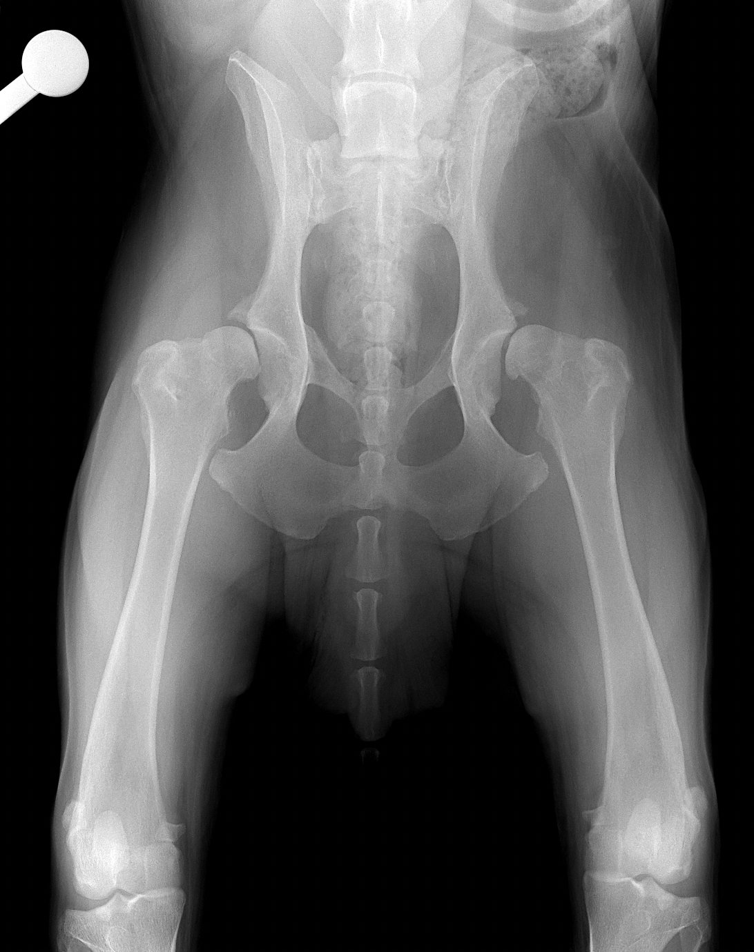
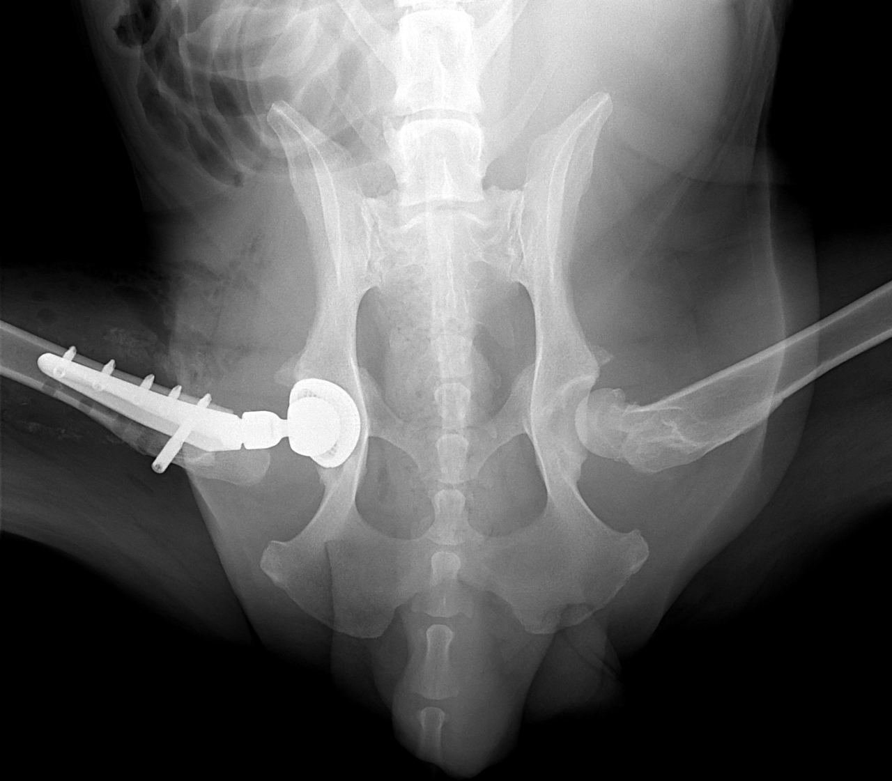
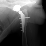
45kgの大型犬が股関節形成不全による痛みがあるとの事。他県より紹介来院されました。KyonのTHRシステム(人工関節)で傷んだ関節を置換しました。関節炎による痛みを感じるのは人も動物も同じです。出来るだけ痛みのない生活を過ごしてもらいたいと思います。インプラントはCup AOL 42° Large STEM 17°、Head19mm、Neck S、29.5 、Cup Anteversion 30°で埋入されています。内科治療に反応のない骨関節炎には人工関節で対応する事も可能です。しばらくは安静が必要です。

