半側骨盤切除術 Hemi-Pelvectomy










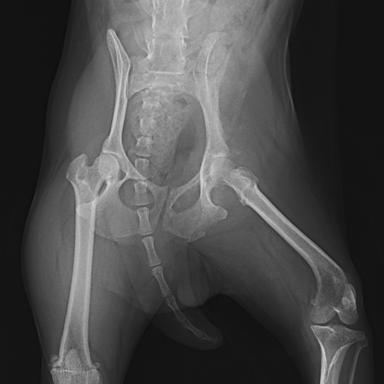
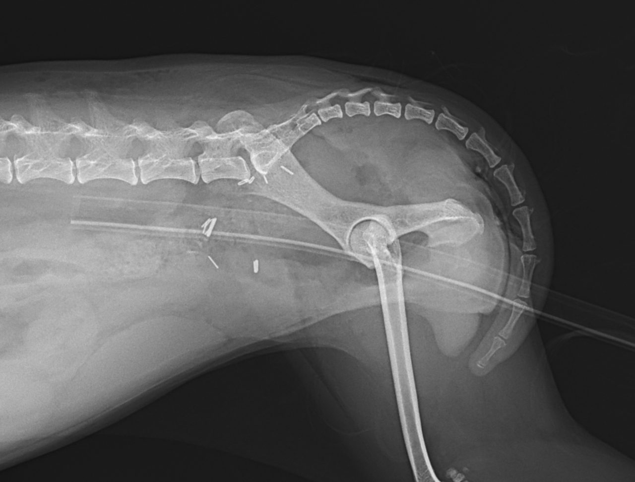
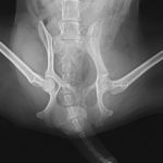
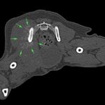
鎮痛剤で跛行が改善しないワンコの精査依頼がありました。CTでは股関節(主に腸骨)に骨融解像が確認されました。細胞診では悪性腫瘍と暫定診断が行われました。除痛のため半側骨盤切除で対応しました。後肢を失うことは大変辛いことですが、ワンコは痛みがなくなり快適に過ごせているそうです。一見、整形外科に見えても高齢犬には腫瘍が隠れていることがあるのでCTによる精査は大変有効です。










鎮痛剤で跛行が改善しないワンコの精査依頼がありました。CTでは股関節(主に腸骨)に骨融解像が確認されました。細胞診では悪性腫瘍と暫定診断が行われました。除痛のため半側骨盤切除で対応しました。後肢を失うことは大変辛いことですが、ワンコは痛みがなくなり快適に過ごせているそうです。一見、整形外科に見えても高齢犬には腫瘍が隠れていることがあるのでCTによる精査は大変有効です。