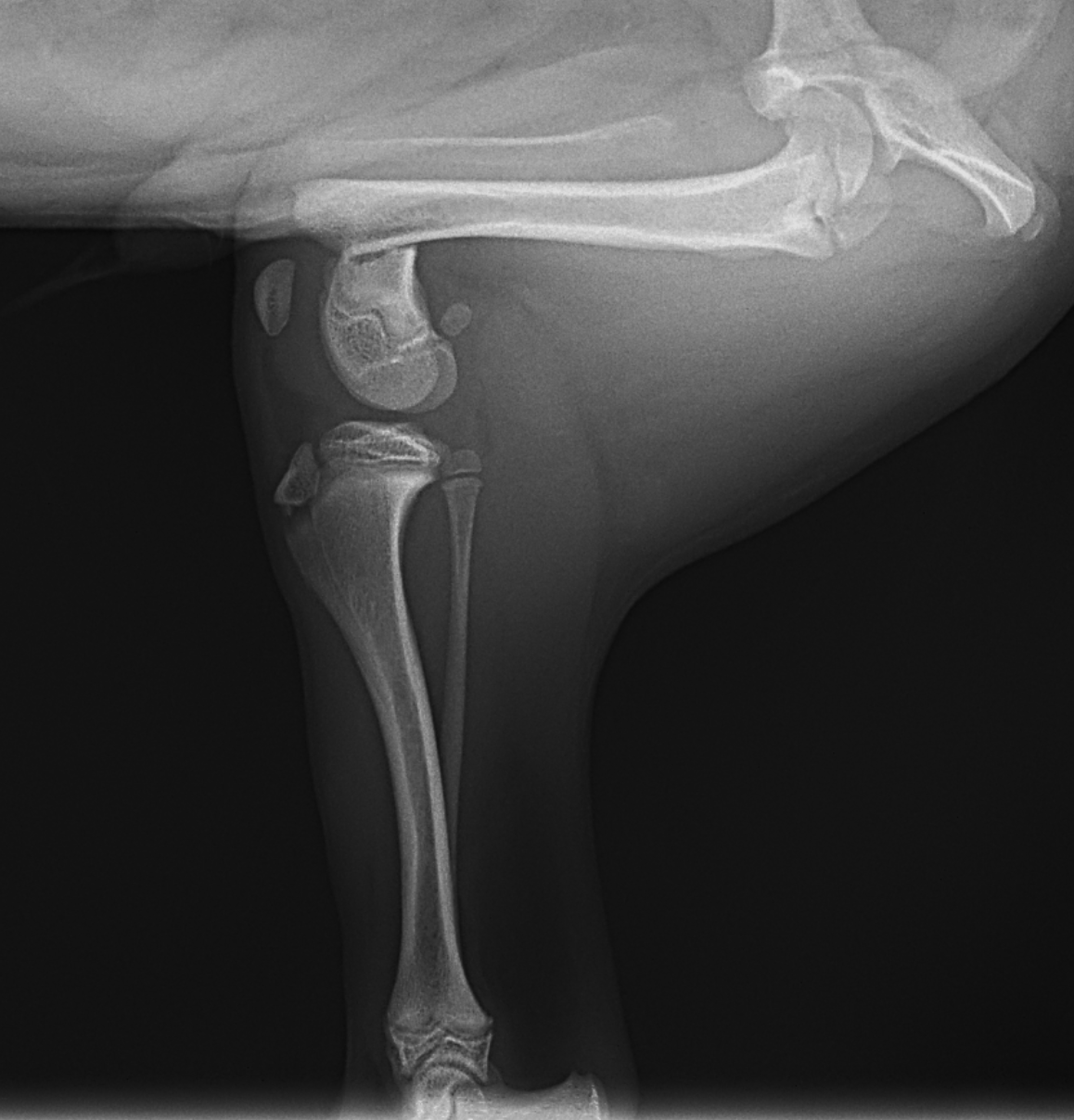
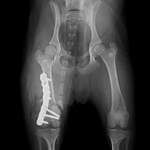
大腿骨骨折








幼犬の大腿骨遠位の骨折です。幼犬は治癒能力が高く、仮骨の形成が早期に起こります。しかしながらこの時期は骨質が大変柔らかく固定には注意が必要です。本来であれば成長板をまたぐ固定は避けたいところですが、やむを得ず軽量のTitanium Locking Plateを用いて固定術を行いました。早期に抜釘することになります。








幼犬の大腿骨遠位の骨折です。幼犬は治癒能力が高く、仮骨の形成が早期に起こります。しかしながらこの時期は骨質が大変柔らかく固定には注意が必要です。本来であれば成長板をまたぐ固定は避けたいところですが、やむを得ず軽量のTitanium Locking Plateを用いて固定術を行いました。早期に抜釘することになります。