股関節全置換術(トータル・ヒップ・リプレイスメント)#27












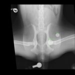
若齢のゴールデン・レトリーバーの股関節形成不全(CHD)に対し、人工股関節全置換術(THR)を実施しました。術前のエックス線では、両側に顕著な股関節亜脱臼を認めましたが、重度の変形性関節症は認められていません。亜脱臼が顕著であることから関節温存のための3Dhip/DPO/TPOは不適応と判断しました。
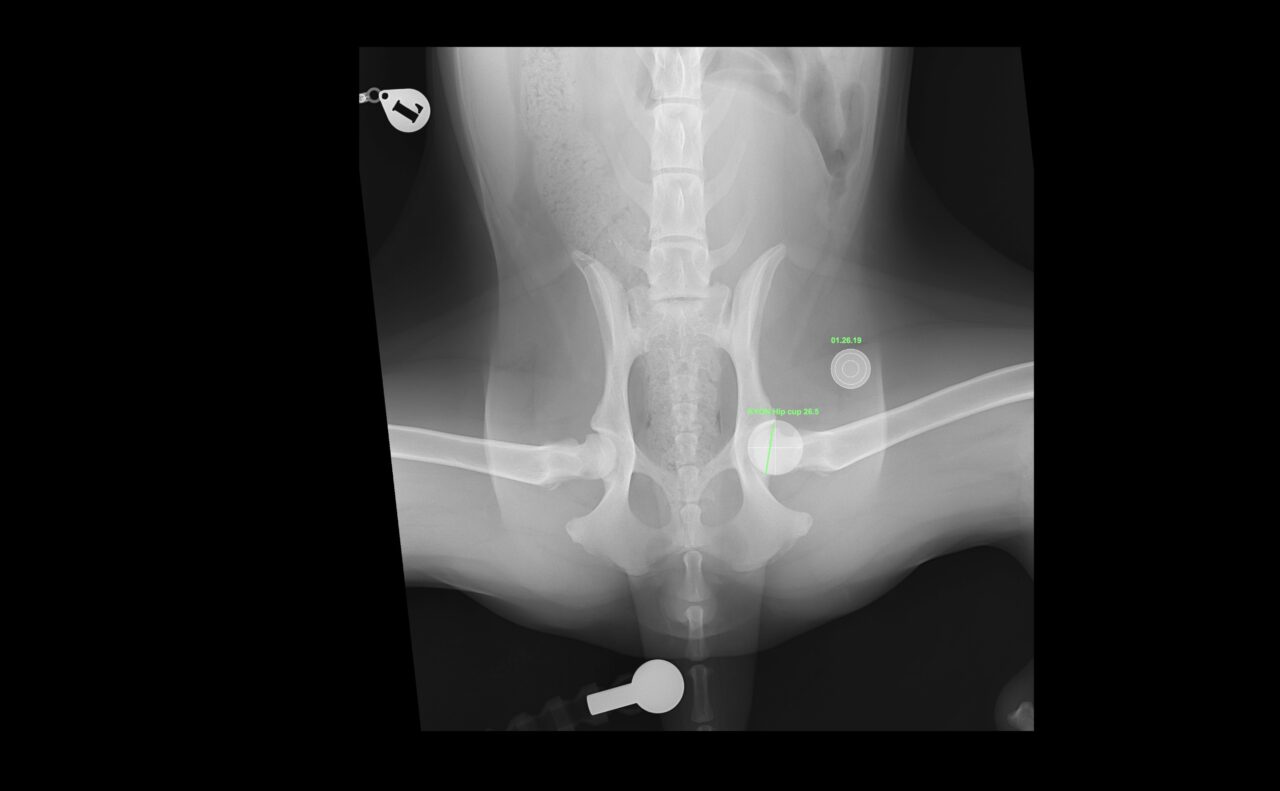
手術前には vPOP Pro を用いて詳細な術前シミュレーションを行いました。
今回、選択したインプラント
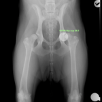
• Acetabular Cup:26.5 mm
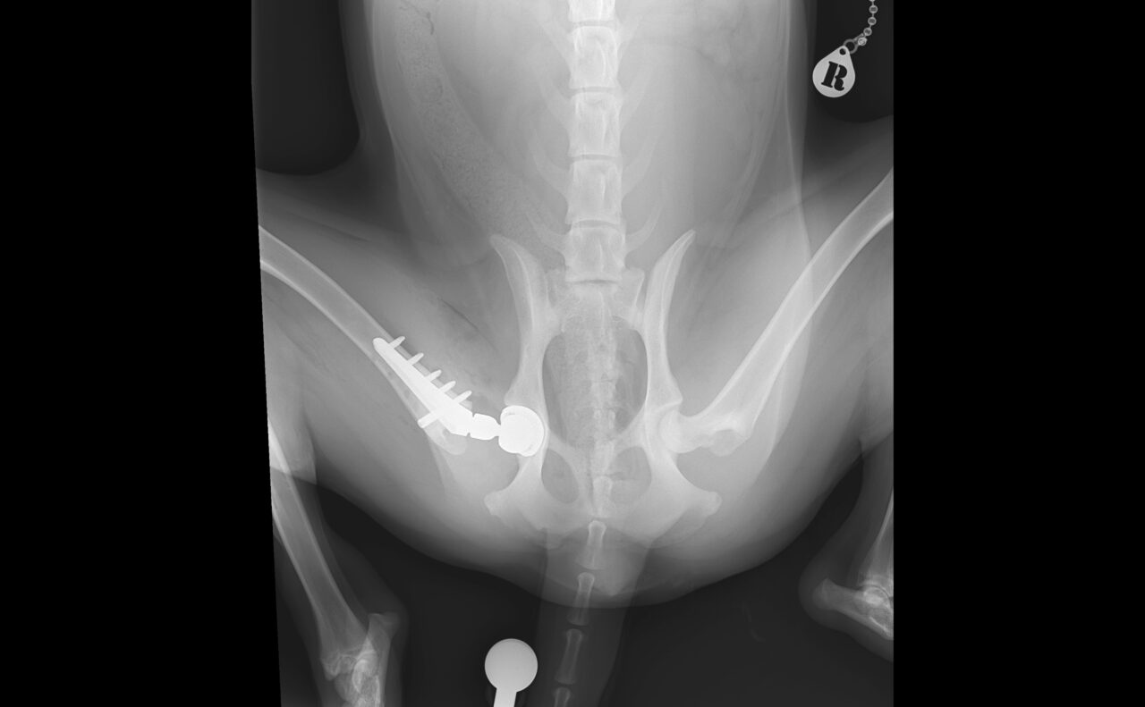
• Femoral Stem:Size M/Neck Short/Head19mm
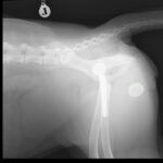
術後X線評価ではインプラント設置は良好。
カップは寛骨臼内側壁に適切に接触し、前後柱間で良好に中心化されています。
ステムは髄腔中央に位置し、内側皮質との接触も良好です。インターロッキングスクリュー固定も適切で、安定した初期固定強度が得られています。
Angle of Lateral Opening (ALO):約45°
Retroversion:約30°
True stem anteversion:約25°
今後は良好な回復を期待しています。しかしながら、インプラントと骨がインテグレーションを起こすまでの期間は絶対安静が重要になります。

