股関節脱臼に対するトグルロッド #62














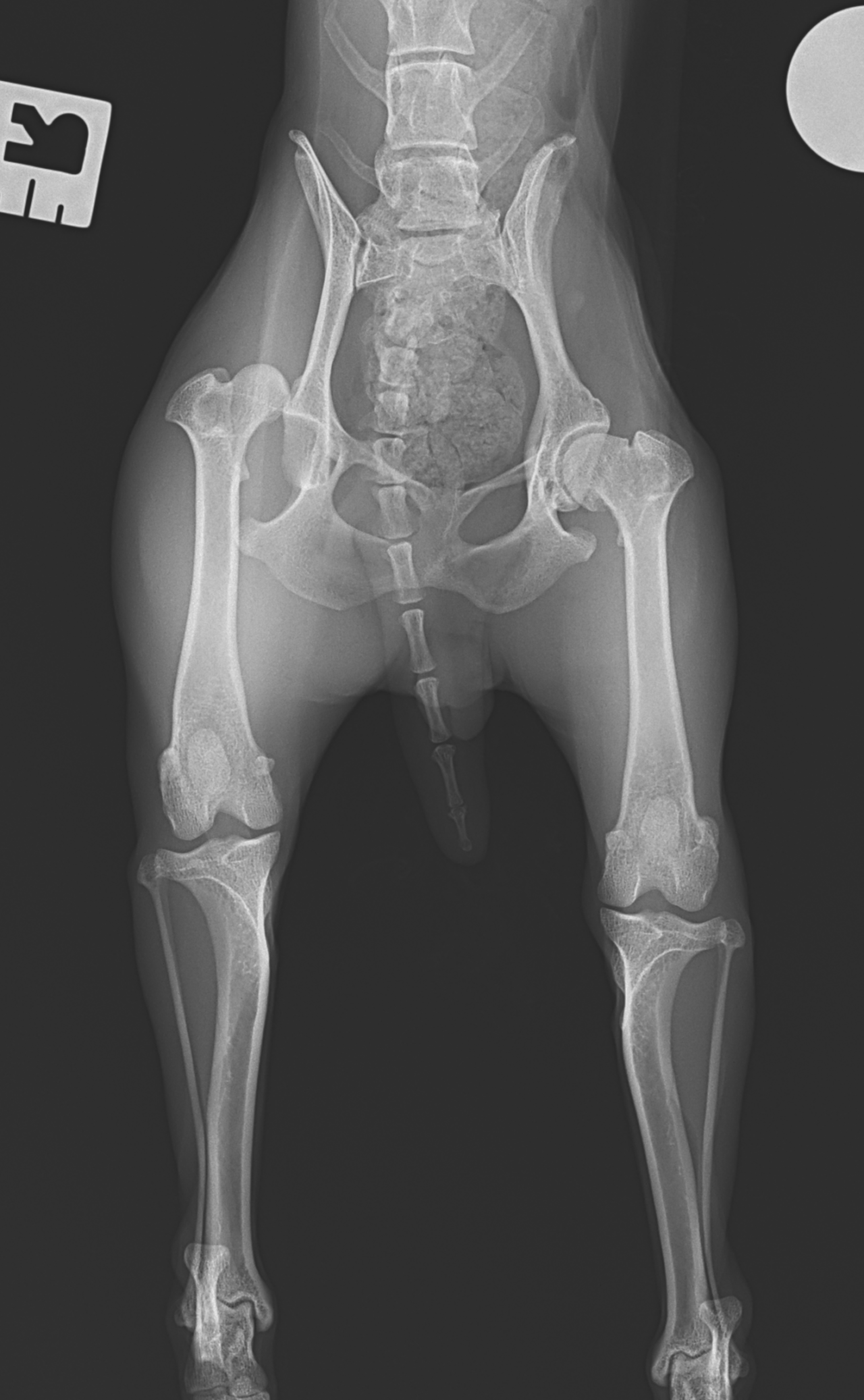
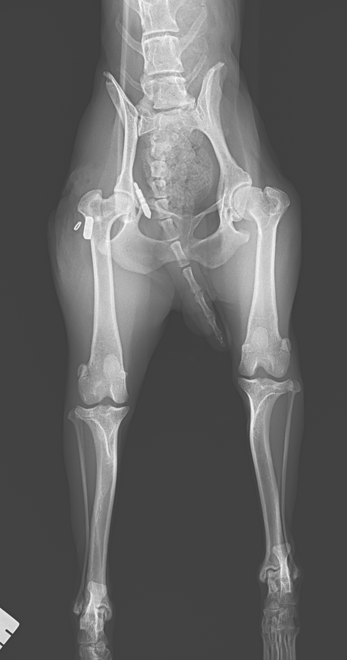
トイ・プードルが室内で転倒し、股関節脱臼を起こしたとのこと。失われた股関節機能を取り戻すために、大腿骨頭靭帯をもっとも生理的な方法で再建する”Toggle Rod法”で対応しました。シンプルかつ短時間で施術が可能です。外側アプローチ、寛骨臼にφ2.5の骨孔を形成。2.4砲弾型トグルロッドにポリエステル縫合糸を装着し、寛骨臼内の骨孔に刺入する。大腿骨頭側より骨頭靭帯付着部位から第3転子に向け2.0のボーントンネルを作成。第3転子側よりパッサーでスーチャーリレーし、エンドボタンで第3転子に締結。”適応症例の選択さえ間違えなければ、誰がやっても成功率の高い治療成績が担保されている”。そういった術式こそ本当に必要とされる術式です。しかしながら、再脱臼(20%)は2週間以内に起こることが知られているので、術後しばらくは安静が必要です。

