股関節脱臼に対するBUSTOR #67












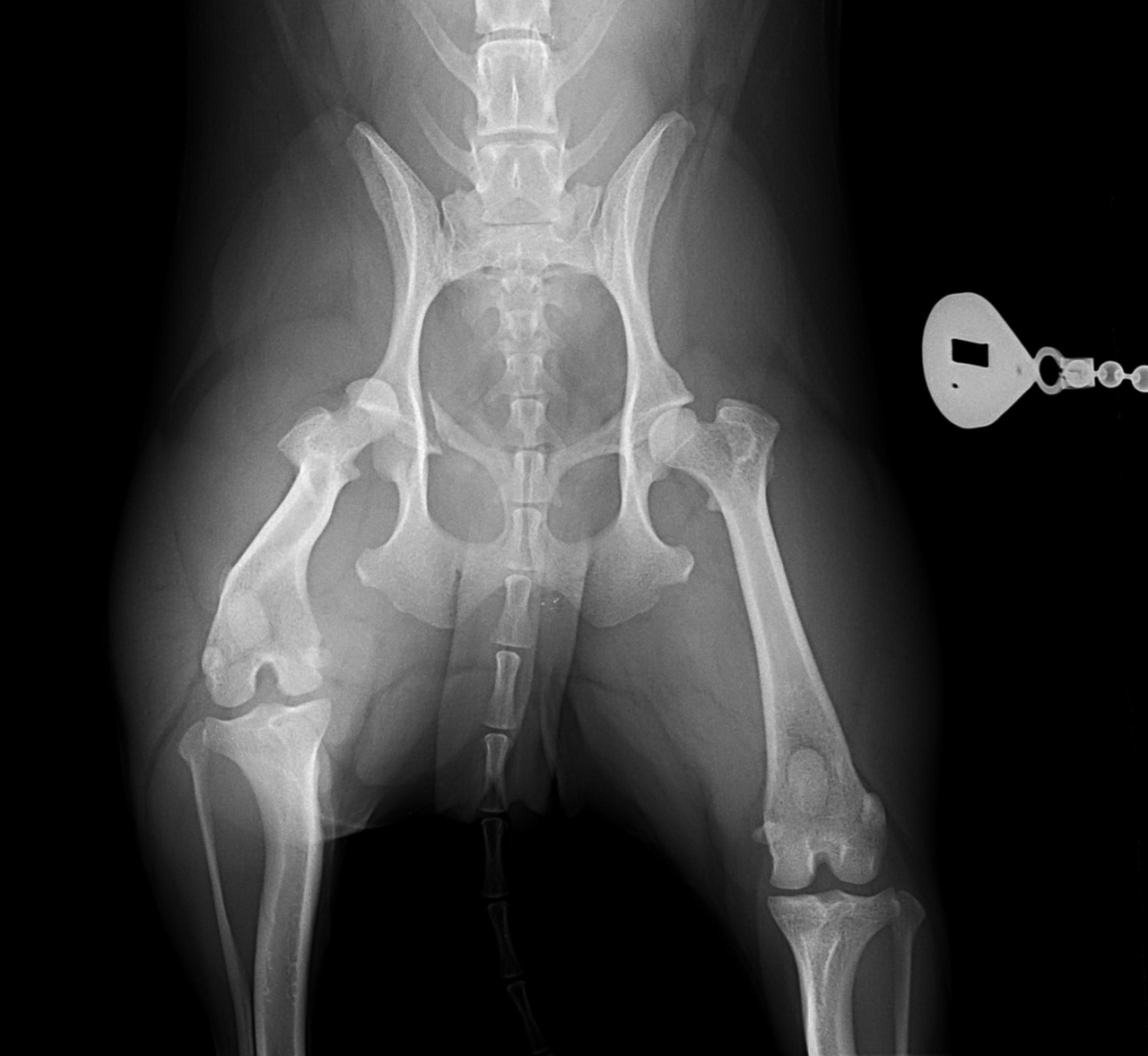
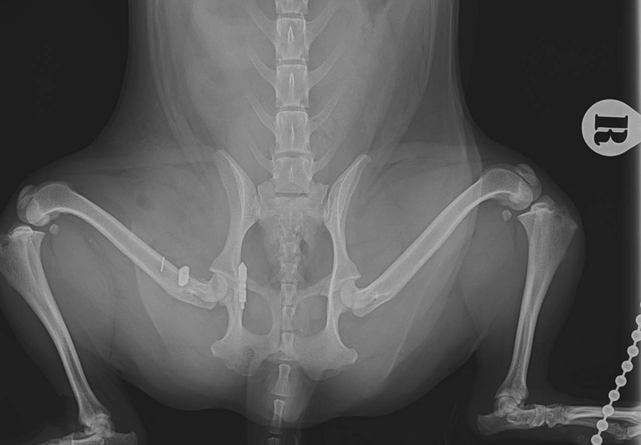
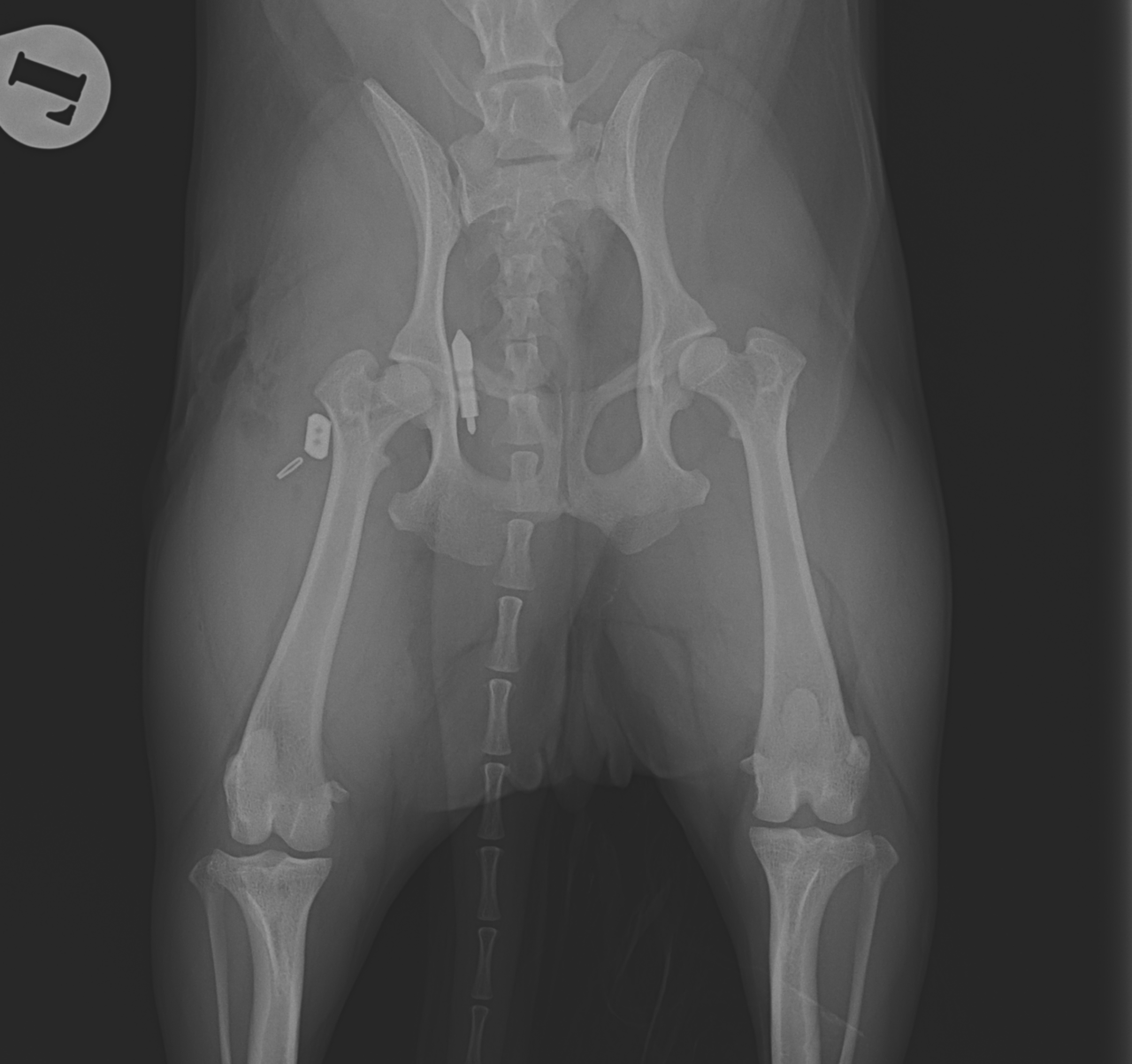
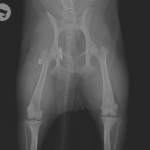
輪禍外傷による股関節脱臼の患者さんに対してBullet–Shaped Toggle Rod (BUSTOR)で整復を行いました。本症例は恥骨の骨折も併発していたため、CTで寛骨臼の評価も実施しました。低侵襲かつ短時間で整復が可能です。しばらくは安静が必要です。












輪禍外傷による股関節脱臼の患者さんに対してBullet–Shaped Toggle Rod (BUSTOR)で整復を行いました。本症例は恥骨の骨折も併発していたため、CTで寛骨臼の評価も実施しました。低侵襲かつ短時間で整復が可能です。しばらくは安静が必要です。