膝蓋骨内方脱臼G3








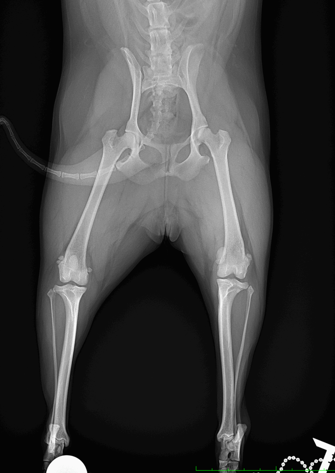
ポメさんがソファーからジャンプした後から急性の跛行を呈しているとのこと。もともと存在していた膝蓋骨内方脱臼が憎悪した可能性があります。ブロックリセッション大腿骨滑車深化術、脛骨粗面外側移行術、関節包の縫縮で対応しました。しばらく安静が必要です。








ポメさんがソファーからジャンプした後から急性の跛行を呈しているとのこと。もともと存在していた膝蓋骨内方脱臼が憎悪した可能性があります。ブロックリセッション大腿骨滑車深化術、脛骨粗面外側移行術、関節包の縫縮で対応しました。しばらく安静が必要です。