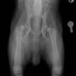
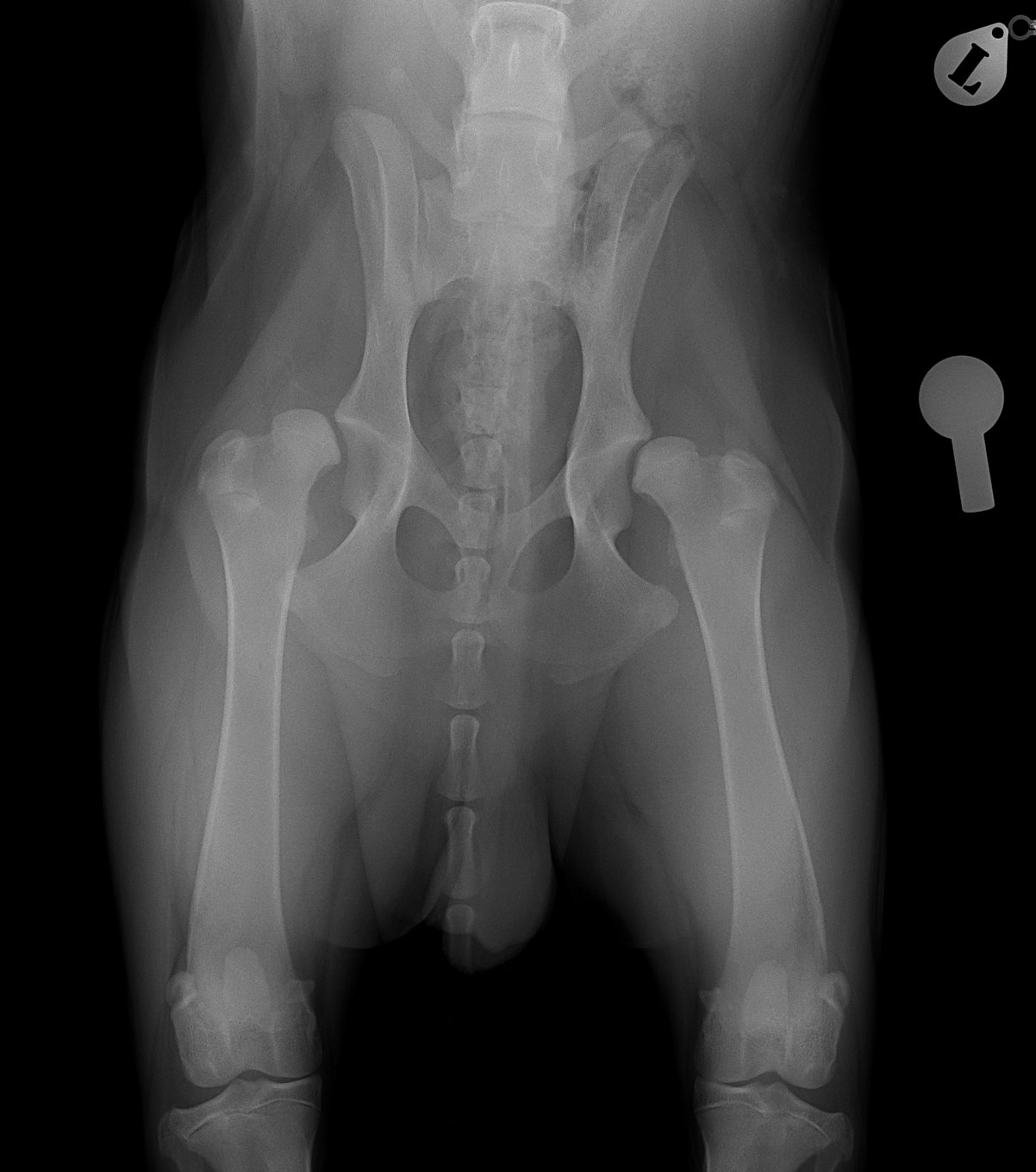
THR #24 大型犬の股関節形成不全のパピーに最も除痛効果と機能回復が期待できるトータル・ヒップ・リプレイスメントで対応しました。しばらくは安静が必要です。 症例カテゴリー 放射線治療整形外科軟部組織外科脳神経外科内科腫瘍外科救急・集中治療リハビリテーション科腫瘍内科内視鏡科脳神経科呼吸器外科中医・漢方猫の腎移植循環器科