Ventral Slot








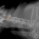
体の何処かを痛がるとの事でダックスさんがかかりつけ医を受診したところ、椎間板ヘルニアではないか?との頃で精査のため来院されました。エックス線検査とMRIでC2~C3に脊髄圧迫病変が確認されました。Ventral Slotで脊柱管内に逸脱した椎間板物質を摘除しました。速やかに除痛効果が現れています。








体の何処かを痛がるとの事でダックスさんがかかりつけ医を受診したところ、椎間板ヘルニアではないか?との頃で精査のため来院されました。エックス線検査とMRIでC2~C3に脊髄圧迫病変が確認されました。Ventral Slotで脊柱管内に逸脱した椎間板物質を摘除しました。速やかに除痛効果が現れています。