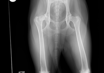
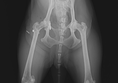
整形外科 注意 ボタンをクリックした先に、治療中および手術中の画像が説明で使用されている場合がございます。 そのような画像に弱い方は閲覧なさらないようお願いいたします。 整形外科 橈骨固定術 #251 整形外科 膝蓋骨高位に対する脛骨粗面遠位化術 整形外科 ミニチュアダックスの脛骨遠位内反矯正+膝蓋骨外方脱臼 整形外科 橈骨固定術 #250 整形外科 股関節脱臼に対するトグルロッド整復術 #64 整形外科 橈骨固定術 #249 整形外科 橈骨固定術 #248 整形外科 内側鉤状突起分離症 FCP 整形外科 橈骨固定術 #247 整形外科 膝蓋骨内方脱臼G3に対する人工滑車(PGR)#20 整形外科 CBLO #239 整形外科 股関節脱臼に対する大腿骨頭頸部切除術 <12345678910> 症例カテゴリー 放射線治療整形外科軟部組織外科脳神経外科内科腫瘍外科救急・集中治療リハビリテーション科腫瘍内科内視鏡科脳神経科呼吸器外科中医・漢方猫の腎移植循環器科